
Vítejte v Hylvátech. Máte sen o vlastním bydlení, přesně podle svých představ na slunném a klidném místě a přitom na dosah ruky od všeho důležitého?
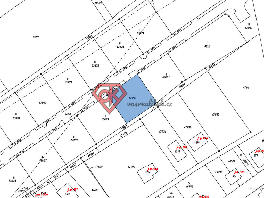
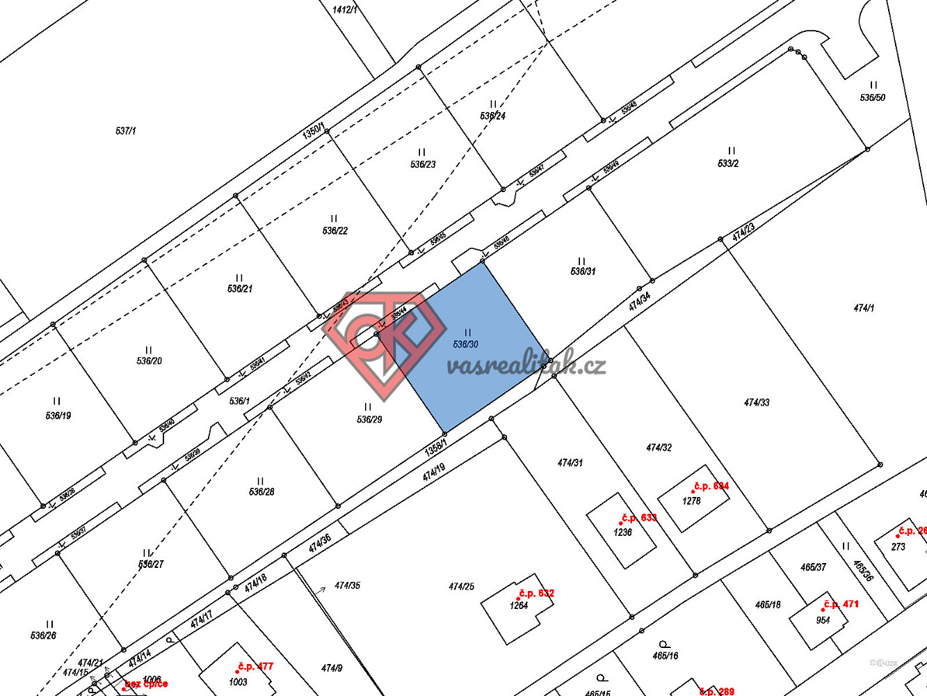
Tento rovinatý pozemek o výměře 847 m² představuje naprosto výjimečnou příležitost. Je to místo, kde se klid přírody potkává s maximálním komfortem pro Vaši rodinu. Pozemek je součástí unikátního projektu, čítajícího celkem 12 stavebních parcel. Je to tedy ideální šance, zajistit si moderní bydlení v nově vznikající čtvrti.
Pár technických údajů?
– stavební pozemek pro rodinný dům
– ideálně rovinatý
– inženýrské sítě: kompletně připraveno (elektřina, voda, kanalizace)
– přístup: nově vybudovaná, neprůjezdná asfaltová komunikace, což zaručuje minimální provoz, klid a maximální bezpečí pro Vás a Vaši rodinu
– k dispozici také datová síť
– orientace parcel: jihozápad
O jakou se jedná lokalitu?
Hylváty jsou úžasným místem pro život. Nacházejí se v těsné blízkosti centra Ústí nad Orlicí, takže máte veškerou občanskou vybavenost okresního města doslova za rohem. Školy, školky, nemocnice, úřady, sportoviště i obchodní centra vyřídíte během pár minut a přitom bydlíte v klidné lokalitě.
Máte představu o svém budoucím domě? Přijďte se podívat na pozemek, který mu dá ten nejlepší základ. Zavolejte mi a já se na Vás budu těšit na prohlídce.
Poznámka:
– uvedené výměry jsou pouze orientační
– v případě více zájemců bude nemovitost prodána nejlepší nabídce a majitel si vyhrazuje právo vybrat kupujícího na základě jim zvolených kritérií
– veškeré zveřejněné údaje obsažené v tomto inzerátu mají pouze informativní charakter a nejsou nabídkou ve smyslu § 1731 nebo § 1732 občanského zákoníku, ani se nejedná o veřejný příslib dle § 1733 občanského zákoníku